Admittedly, women are easy targets in our society. Our physicality has placed us at a disadvantage in hostile environments. This year’s rape statistics in New York City alone has jumped nearly 24% from 2010.
In the Eastern Republic of the Congo, a woman is raped every 5 minutes.
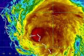
But in August, the East Coast met Irene–a formidable woman.
Irene picked a fight.
She ‘won.’
If you live on the East Coast, you certainly had an encounter with,
Mrs. Irene Hacker.
The word hacker implies stealth, at least in the traditional sense of the word. Yet the Irenes’ of the world do not subscribe to stealth.
They give ample warning.
Hurricane Irene certainly did.
Her fists delivered wind, rain and floods. Vermont, NY lies crushed under her fury.
Apparently, the etymology of the word ‘hacker’ is evolving. Many Hacktivists do announce their intended prey.
September’s issue of the the Chief Security Officer magazine (CSO) discusses how Trend Micro has uncovered evidence of a major targeted malware attack that has managed to infect over 1,400 computers in Russia and its former Soviet satellite states. This year is littered with similar reports.
Maybe, I have been miscalculating the efforts of IT professionals to protect their enterprise especially when I consider all the preparation in anticipation for Hurricane Irene. There was just so much the President Obama, FEMA and state and local officials could do.
The parallels between the threat from natural disasters and cyber attacks are glaring, yet subtle; apparent yet disguised, noted yet ignored.
Not unlike the often under-estimated power, contribution and influence of a woman to her family, her society—her world.
And, as with Hurricane Irene and Cyber-terrorism, go ahead, make preparations, but the presumption that you have the ‘eye of the storm‘ pegged may prove arrogant.


